Inspiration
The inspiration behind InspireIt came from the challenges we faced for our course research projects in generating novel ideas and structuring their research proposals. We wanted to create an AI-powered assistant that not only aids in ideation but also helps in analyzing research opportunities and providing valuable references. By leveraging cutting-edge AI technologies and academic datasets, we aimed to empower researchers to focus on innovation without getting overwhelmed by information overload.
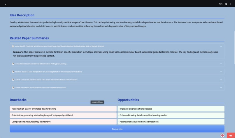
What it does
InspireIt is an RAG based LLM-powered research assistant that helps researchers generate innovative ideas, analyze research opportunities, and develop comprehensive research proposals. It offers features such as:
- Cross-domain research idea generation based on user inputs.
- Research idea analysis, identifying opportunities and challenges.
- Paper outline creation with detailed sections and references.
- Summarization of related papers to provide additional context and validation.
- User-friendly interface for seamless navigation through the research process.
How we built it
InspireIt was built using a combination of advanced AI technologies and modern web frameworks, including:
- Snowflake Cortex Search Services for real-time retrieval of research papers from the arXiv database, enabling intelligent search and ranking of relevant content.
- Mistral-large2 Model, an AI language model that processes complex research concepts and generates innovative ideas, detailed outlines, and in-depth analyses.
- Streamlit Framework to provide an intuitive and responsive web-based user interface, ensuring a smooth and interactive experience for users.
Challenges we ran into
During the development of InspireIt, we encountered several challenges, including:
- Efficient data retrieval: Optimizing the retrieval of relevant papers from large datasets while maintaining accuracy and speed.
- Contextual relevance: Ensuring the AI-generated ideas and analyses align with user expectations and current research trends.
- User experience: Designing a simple yet powerful interface to cater to researchers with varying levels of technical expertise.
- Scalability: Handling large volumes of queries without compromising performance.
Accomplishments that we're proud of
We are proud of several key accomplishments in the development of InspireIt, including:
- Successfully integrating RAG (Retrieval-Augmented Generation) to provide contextually rich research suggestions.
- Developing an intuitive user interface that makes research ideation and proposal creation effortless.
- Implementing advanced vector search capabilities for fast and relevant research retrieval.
- Enabling seamless real-time analysis and generation of research ideas with detailed opportunities and drawbacks.
What we learned
Throughout the development process, we gained valuable insights, including:
- The importance of contextual understanding in AI-generated content to enhance usability for researchers.
- How effective information retrieval techniques can be implemented through snowflake cortex.
- Balancing automation and human intervention in the research process to maximize efficiency.
What's next for Inspire-It
Moving forward, we plan to expand and enhance InspireIt with the following features:
- Integration with citation management tools to help users organize references easily.
- Personalized research recommendations based on user preferences and past interactions.
- Collaboration features, allowing teams to work together on research proposals in real-time.
- Multi-language support to assist researchers worldwide in their native languages.
- Enhanced AI models for deeper insights into niche research areas and trends.

Log in or sign up for Devpost to join the conversation.